
Today we went on a snorkelling trip to the island Koh Rok Nok. Koh Rok is part of the National Park of Koh Mu Lanta and therefore you can not stay there in a hotel – only visit.
We went with Pirate Kings, and we were able to get picked up by the boat at Kantiang Bay, where we are staying, which was very convenient. The speedboat trip took one hour to our destination. The girls and I wore our seabands again and they worked wonders.
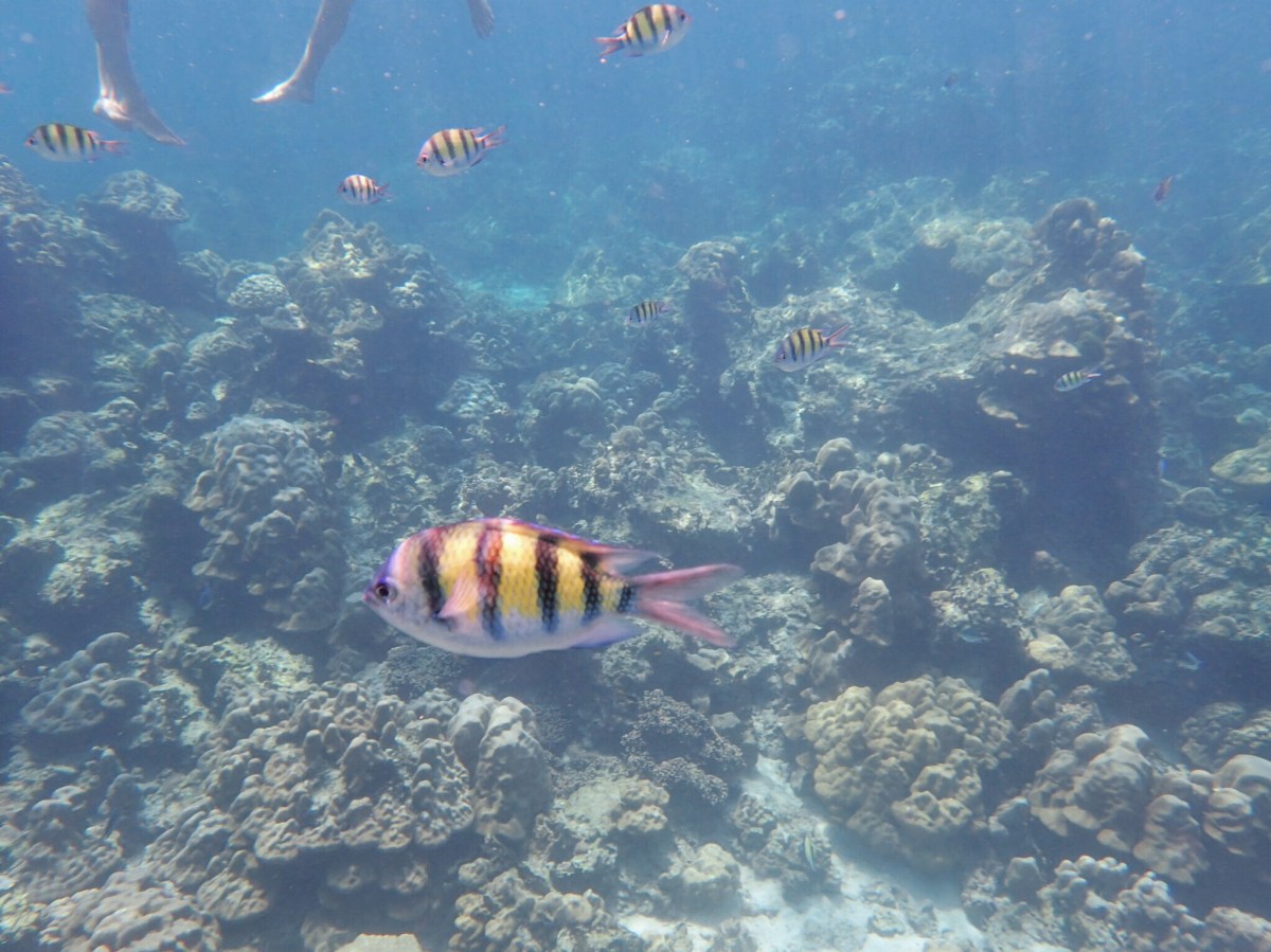
Koh Rok was (of course) full of tourists. But nonetheless the water was crystal clear, the sand like flour and the fish very colourful.
Dagmar did not really want to snorkel, but Agnes was very brave and went out with either Bjoern or I, whenever we stopped for a swim/snorkel sight.









Det lyder bare skønt!
LikeLike